Contingut no disponible en valencià

Us trobeu en

Documento BOE-A-2002-19264

Decreto 117/2002, de 28 de agosto, por el que se declara el entorno de protección del bien de interés cultural declarado «Fachada principal del cementerio de Comillas», en el término municipal de Comillas (Cantabria).

Publicado en:
«BOE» núm. 238, de 4 de octubre de 2002, páginas 35326 a 35327 (2 págs.)
Sección:
III. Otras disposiciones
Departamento:
Comunidad Autónoma de Cantabria
Referencia:
BOE-A-2002-19264

TEXTO ORIGINAL

Mediante Resolución de la Consejería de Cultura, Turismo y Deporte, de 15 de enero de 2002, se incoó expediente para la delimitación del entorno de protección del bien de interés cultural denominado «Fachada principal del cementerio de Comillas», en el término municipal de Comillas, declarado monumento histórico-artístico, con fecha 28 de julio de 1983.

Cumplido el trámite establecido en el artículo 18 de la Ley 11/1998, de 13 de octubre, de Patrimonio Cultural de Cantabria.

La Consejería de Cultura, Turismo y Deporte ha propuesto la delimitación del entorno de protección del bien mencionado, y a tal efecto insta al Consejo de Gobierno de Cantabria dicha declaración, haciéndole constar que se han cumplimentado todos los trámites preceptivos en la incoación e instrucción del expediente.

En su virtud y de acuerdo con lo establecido en el artículo 24.17 de la Ley Orgánica 8/1981, de 30 de diciembre, del Estatuto de Autonomía para Cantabria, reformada por Ley Orgánica 11/1998, de 30 de diciembre, y en el artículo 19 de la Ley 11/1998, de 13 de octubre, de Patrimonio Cultural de Cantabria, a propuesta del Consejero de Cultura, Turismo y Deporte, previa deliberación del Consejo de Gobierno de Cantabria en su reunión del día 28 de agosto de 2002, dispongo:

Artículo 1.

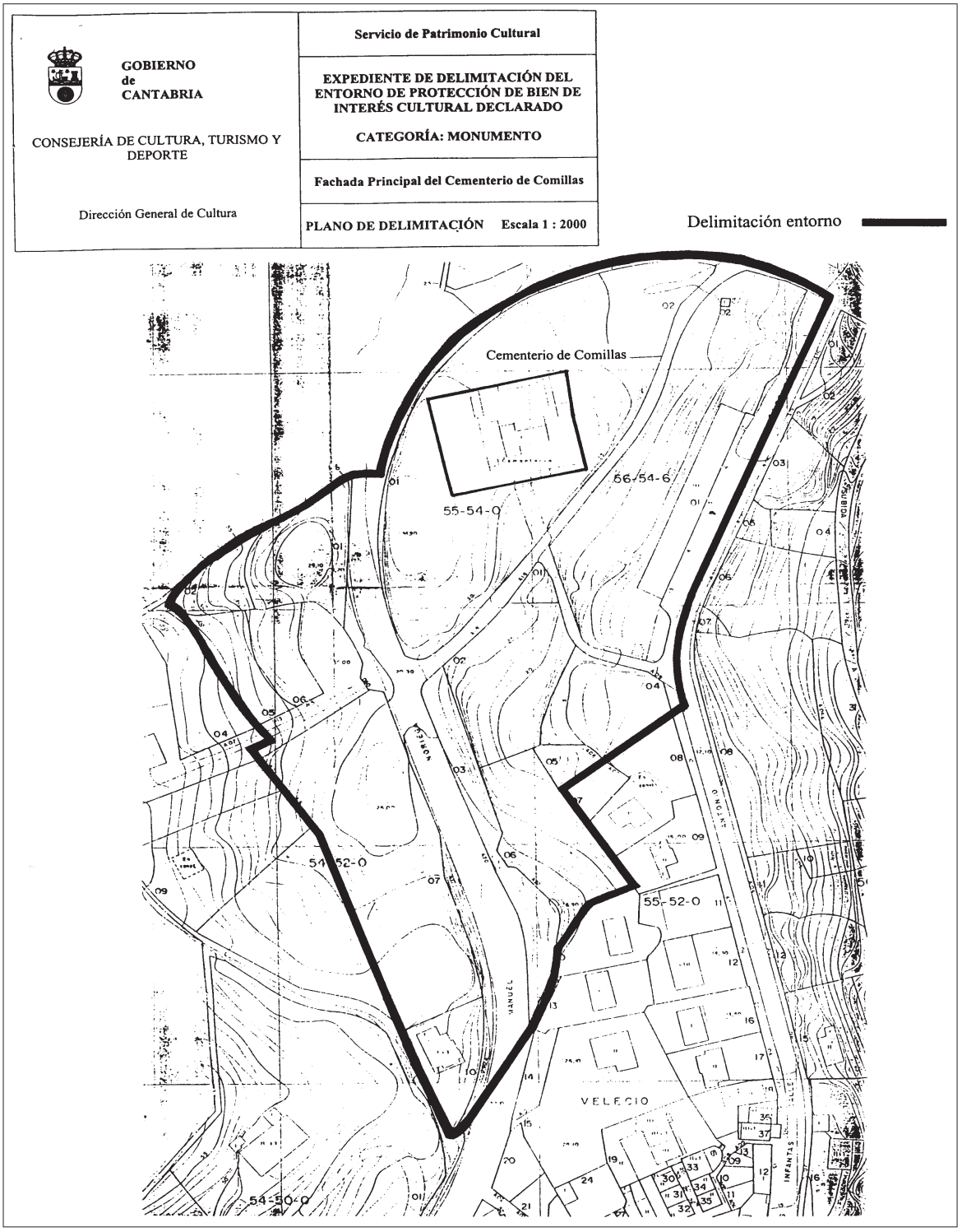
Se declara el entorno de protección del bien de interés cultural denominado «Fachada principal del cementerio de Comillas», en el término municipal de Comillas, que figura en el anexo junto con su justificación, y que se encuentra representado en el plano que se publica con este Decreto.

Disposición adicional única.

Se faculta al excelentísimo señor Consejero de Cultura, Turismo y Deporte para la realización de cuantos actos sean necesarios para la efectividad de este Decreto.

Disposición final única.

El presente Decreto entrará en vigor al día siguiente de su publicación.

Santander, 28 de agosto de 2002.‒El Presidente del Gobierno de Cantabria, José Joaquín Martínez Sieso.‒El Consejero de Cultura, Turismo y Deporte, José Antonio Cagigas Rodríguez.

ANEXO
Delimitación del entorno de protección

Al norte y al nordeste linda con la calle Manuel Noriega; al sudeste linda con el paseo Antonio Gareyi y con varias parcelas con viviendas aisladas; al oeste linda con varias fincas o partes de ellas, que contienen edificaciones similares en algunos casos.

Justificación: La delimitación se realiza atendiendo a las características del cementerio, y en especial su fachada. Asimismo, se han tenido en cuenta la relación del cementerio con la parte más cercana del núcleo de Comillas, el paisaje circundante, la proximidad del mar y la costa, la estructura viaria y la topografía. Se ha prestado especial atención a las determinaciones del planeamiento y a la Ley de Costas. Han sido también muy determinantes en la delimitación del entorno las visuales y perspectivas consolidadas del monumento. Los límites coinciden prácticamente en su totalidad con los lindes de las parcelas y el trazado de los viales.

Con esta delimitación se pretende, pues, conservar y proteger un monumento relevante que se inserta en un medio natural y paisajístico de gran originalidad y valor, así como su correcta contemplación e interpretación.

Imagen: /datos/imagenes/disp/2002/238/19264_14549003_image1.png

subir

Agència Estatal Butlletí Oficial de l'Estat

Avda. de Manoteras, 54 - 28050 Madrid