Contido non dispoñible en galego

Está Vd. en

Documento BOE-A-2001-6691

Decreto 6/2001, de 9 de enero, por el que se declara bien de interés cultural con la categoría de conjunto histórico el conjunto histórico de Loja (Granada).

Publicado en:
«BOE» núm. 81, de 4 de abril de 2001, páginas 12779 a 12808 (30 págs.)
Sección:
III. Otras disposiciones
Departamento:
Comunidad Autónoma de Andalucía
Referencia:
BOE-A-2001-6691

TEXTO ORIGINAL

I. Los artículos 13.27 de la Ley Orgánica 6/1981, de 30 de diciembre, del Estatuto de Autonomía para Andalucía, establece la competencia exclusiva de la Comunidad Autónoma en materia de patrimonio histórico, artístico, monumental, arqueológico y científico, y 6.a) de la Ley 16/1985, de 25 de junio, del Patrimonio Histórico Español, determina que se entenderán como organismos competentes para la ejecución de la Ley «los que en cada Comunidad Autónoma tengan a su cargo la protección del patrimonio histórico».

Asimismo, el artículo 2 del Decreto 4/1993, de 26 de enero, por el que se aprueba el Reglamento de Organización Administrativa del Patrimonio Histórico de Andalucía, atribuye a la Consejería de Cultura de la Junta de Andalucía la competencia en la formulación, seguimiento y ejecución de la política andaluza de bienes culturales referida a la tutela, enriquecimiento y difusión del Patrimonio Histórico Andaluz, siendo, de acuerdo con el artículo 3.3, la titular de la Consejería de Cultura el órgano competente para proponer al Consejo de Gobierno de la Junta de Andalucía la declaración de bienes de interés cultural y competiendo, según el artículo 1.1, a este último dicha declaración.

II. La disposición adicional primera de la Ley 16/1985, de 25 de junio, del Patrimonio Histórico Español, establece que los bienes que con anterioridad a esta Ley hayan sido declarados histórico-artísticos o incluidos en el inventario del patrimonio artístico y arqueológico de España pasan a tener la consideración y a denominarse bienes de interés cultural.

El artículo 11.2 de la Ley 16/1985, de 25 de junio, de Patrimonio Histórico Español, dispone que la resolución del expediente por el que se declare un bien de interés cultural deberá describirlo claramente para su identificación.

La Dirección General del Patrimonio Artístico y Cultural, por Resolución de 17 de julio de 1975 (publicada en el «Boletín Oficial del Estado» de 26 de agosto), acordó tener incoado expediente relativo a la declaración de conjunto histórico-artístico a favor de la villa de Loja (Granada), según la Ley de 13 de mayo de 1933, sobre Defensa, Conservación y Acrecentamiento del Patrimonio Artístico Nacional, siguiendo su tramitación según lo previsto en dicha Ley, los Decretos de 16 de abril de 1936 y de 22 de julio de 1958.

III. A raíz de la redacción de las normas subsidiarias de 1993, se redactan estudios que cuestionan la validez de la delimitación que contemplaba el expediente, lo que motiva a la Dirección General de Bienes Culturales a dictar la Resolución de 25 de mayo de 1999 («Boletín Oficial de la Junta de Andalucía» de 10 de julio), por la que se tiene por modificada la incoación del procedimiento de declaración del conjunto histórico, siguiendo su tramitación según lo establecido en la Ley 16/1985, de 25 de junio, del Patrimonio Histórico Español, y el Real Decreto 111/1986, de 10 de enero, para su desarrollo (modificado parcialmente por el Real Decreto 64/1994, de 21 de enero). En la tramitación del expediente, y de conformidad con lo establecido en el artículo 9 de la Ley del Patrimonio Histórico Español, emitió informe favorable a la delimitación, la Comisión Provincial de Patrimonio Histórico de Granada en sesión de 5 de mayo de 2000.

De acuerdo con la legislación vigente, se cumplieron los trámites preceptivos abriéndose un período de información pública («Boletín Oficial de la Junta de Andalucía» número 116, de 14 de octubre de 1999) y concediéndose trámite de audiencia al Ayuntamiento el 3 de agosto de 1999.

Con fecha 26 de agosto de 1999, se plantean alegaciones ante la Delegación Provincial de Granada mediante acuerdo adoptado por unanimidad por el Pleno de la Corporación Municipal en sesión extraordinaria de fecha 19 de agosto de 1999. Si bien se manifiesta la conformidad con la delimitación incluida en la Resolución de 25 de mayo de 1999, se realizan una serie de alegaciones cuyo reflejo suscinto es el siguiente:

Conveniencia y necesidad de incluir en el catálogo determinados espacios públicos.

Propuestas de inclusión en el catálogo de edificaciones de inmuebles que se omiten respecto del actual catálogo de la revisión de las normas subsidiarias, y solicitud de inclusión de otros nuevos.

Propuestas de protección ambiental fuera del conjunto histórico.

Estas alegaciones no se refieren al ámbito delimitado sino al contenido de las propuestas que se realizan en la documentación técnica que acompaña y justifica el expediente respecto a las posibles catalogaciones urbanísticas de inmuebles pertenecientes al conjunto por lo que no tienen incidencia en la presente tramitación.

Terminada la instrucción del expediente, según lo previsto en el artículo 14.2 de la Ley 16/1985, procede la declaración de bien de interés cultural de dicho casco histórico, con la categoría de conjunto histórico, así como, y de conformidad con lo prevenido en la disposición adicional primera del citado texto legal, en relación con el artículo 8 del Reglamento de Protección y Fomento del Patrimonio Histórico de Andalucía, aprobado mediante Decreto 19/1995, de 7 de febrero, la inclusión del mismo en el catálogo general del Patrimonio Histórico Andaluz.

En virtud de lo expuesto, y de acuerdo con lo establecido en los artículos 6 y 9.1 y 2 de la Ley 16/1985, en relación con el artículo 1.1 del Reglamento de Organización Administrativa del Patrimonio Histórico Andaluz, a propuesta de la Consejería de Cultura y previa deliberación, el Consejo de Gobierno, en su reunión del día 9 de enero de 2001, acuerda:

Primero.

Declarar bien de interés cultural, con la categoría de conjunto histórico, el conjunto histórico de Loja (Granada), cuya descripción figura en el anexo al presente Decreto.

Segundo.

Establecer una delimitación del espacio afectado por la declaración de bien de interés cultural, que abarcaría los espacios públicos y privados, las parcelas, inmuebles y elementos comprendidos dentro de la delimitación que figura en el anexo y, gráficamente, en el plano de «delimitación del conjunto histórico».

Tercero.

Incluir este bien de interés cultural en el catálogo general del Patrimonio Histórico Andaluz.

Contra el presente acto, que pone fin a la vía administrativa, se podrán interponer, desde el día siguiente al de su notificación, potestativamente recurso de reposición ante el mismo órgano que lo dicta en el plazo de un mes, conforme al artículo 116 de la Ley 30/1992, de Régimen Jurídico de las Administraciones Públicas y del Procedimiento Administrativo Común (modificada por la Ley 4/1999, de 13 de enero), o directamente recurso contencioso-administrativo en el plazo de dos meses ante la Sala de lo Contencioso-Administrativo del Tribunal Superior de Justicia de Andalucía, con sede en Granada, de acuerdo con lo previsto en los artículos 10 y 46 de la Ley 29/1998, de 13 de julio, reguladora de la Jurisdicción Contencioso-Administrativa.

Sevilla, 9 de enero de 2001.–El Presidente, Manuel Chaves González.

ANEXO

I. Justificación de la delimitación

La homogeneidad que requiere la definición de un conjunto histórico se halla en Loja delimitada por un desarrollo continuo del caserío fundamentado en la pervivencia de unos tipos de arquitectura doméstica que han ido acompañando y valorando las emergencias monumentales.

Si bien es cierto que en las últimas décadas se ha asistido a la irrupción de tipologías discordantes con la lógica evolutiva seguida por la ciudad hasta entonces, la ciudad histórica está aún presente en el núcleo de Loja a través de su manifestación planimétrica –la trama, aunque con afecciones–, y altimétrica –presencia de los bienes de interés como hitos y nodos de referencia urbana, además de suponer una calificación del área en que se ubican–.

Por otra parte, la villa de Loja ha contado desde antiguo con un destacado lugar en los procesos históricos que han contribuido a la definición de nuestra cultura. Por ello, y como expresión de la aportación al acervo civilizatorio común, merece que sus valores sean tutelados mediante la declaración de su casco antiguo como bien de interés cultural en la categoría de conjunto histórico.

Tales valores pueden concretarse sumariamente como sigue. En cuanto al valor histórico, el asentamiento cuenta con los testimonios suficientes acerca de los procesos de evolución histórica seguidos, como para que estos sean claramente legibles. Dichos testimonios vienen constituidos tanto por su arquitectura monumental (Alcazaba, instalaciones conventuales y parroquiales), como por una serie de edificaciones de tono menor que ilustran suficientemente sobre la fisonomía de las poblaciones andaluzas cuyos modos de vida tradicionales han estado vinculados claramente a los procesos económicos de transformación agropecuarios. En ese patrimonio vernáculo (amenazado por los procesos de remoción topológica y las condiciones de aprovechamiento urbanístico actualmente vigentes) residen sus valores etnográficos.

También hay que señalar que el núcleo histórico, en su conjunto, ejemplifica de manera clara, tanto en su modo de ocupación territorial (su emplazamiento colgado sobre los collados que dominan los suelos agrícolas de las terrazas fluviales del valle del Genil), como en el desarrollo de su estructura urbana, lo que se ha dado en denominar agrovilla, o tipo de asentamiento característico de amplias zonas de la alta y baja Andalucía. Es decir, poblaciones que en su devenir histórico han ido configurando entidades territoriales extensas con un alto grado de ocupación de su solar y una estructura y morfología más próximas a los modelos urbanos que a la de los asentamientos agrícolas, aunque la actividad económica predominante haya sido la agropecuaria.

Por último, en cuanto a los valores artísticos del núcleo, éstos se concentran en los inmuebles monumentales y en la relación de escala aún vigente entre ellos y el caserío, lo que permite que tales monumentos aún conserven su capacidad estructurante y vertebradora de la morfología y de la estructura urbanas. Monumentos que, además, poseen en si mismos una alta calificación formal, histórica y artística, y recorren un amplio espectro estilístico que va desde los vestigios nazaríes presentes en la Alcazaba hasta los ensayos neoclásicos del círculo de Ventura Rodríguez y la Cámara y Consejo de Castilla (en la parroquia de la Encarnación), pasando por las elaboraciones clasicistas de Sioé en San Gabriel o las experiencias de raíz mudejárica, plateresca y protobarroca del convento de Santa Catalina o el claustro de San Francisco.

Para el trazado de la línea de delimitación se definen las diversas áreas o sectores que interrelacionados configuran el casco antiguo, tratando de desvelar sus bordes y zonas de contacto. En este sentido, parece evidente que las zonas de la Alcazaba, Alfaguara, parroquias de la Encarnación, San Gabriel y Santa Catalina, así como el área de influencia del convento de Santa Clara, por su carácter histórico, las hacen incluibles en el ámbito a delimitar.

Además, la tradicional vinculación existente entre la ciudad al sur del Genil y su barrio de San Francisco propiciada por el puente que salva el río y el valle de éste, propician la inclusión de las cabeceras de dicho puente junto con el citado barrio dentro de la delimitación del conjunto histórico.

Se incluyen igualmente en el ámbito delimitado como conjunto histórico los crecimientos de la ciudad en torno a la antigua Plaza Nueva –hoy de Joaquín Costa– y todo el desarrollo comercial burgués que llega desde ella hasta las inmediaciones de la plaza del Duque y carrera de San Agustín. De igual modo se consideran dentro del conjunto histórico de Loja los desarrollos en torno al antiguo camino de Archidona –zona de calle Antequera– y de la antigua cuesta del Arca, camino y límite tradicional que permitía el acceso desde el extremo oriental hasta el barrio alto o de Santa Catalina. Por las mismas razones, uno de los límites debería fijarse en el extremo de máximo crecimiento de la expansión de la calle Real.

El arrabal histórico del Mesón de Arroyo ha sido secularmente zona externa a la coherencia urbana de la ciudad de Loja, a diferencia del barrio de San Francisco. De ahí y del escaso valor de la edificación doméstica que lo configura, la razón de su no inclusión.

En razón a las características del ámbito del bien no se considera necesaria la delimitación de un entorno al mismo, por incluirse dentro de éste todos aquellos espacios, inmuebles y elementos definidores del conjunto.

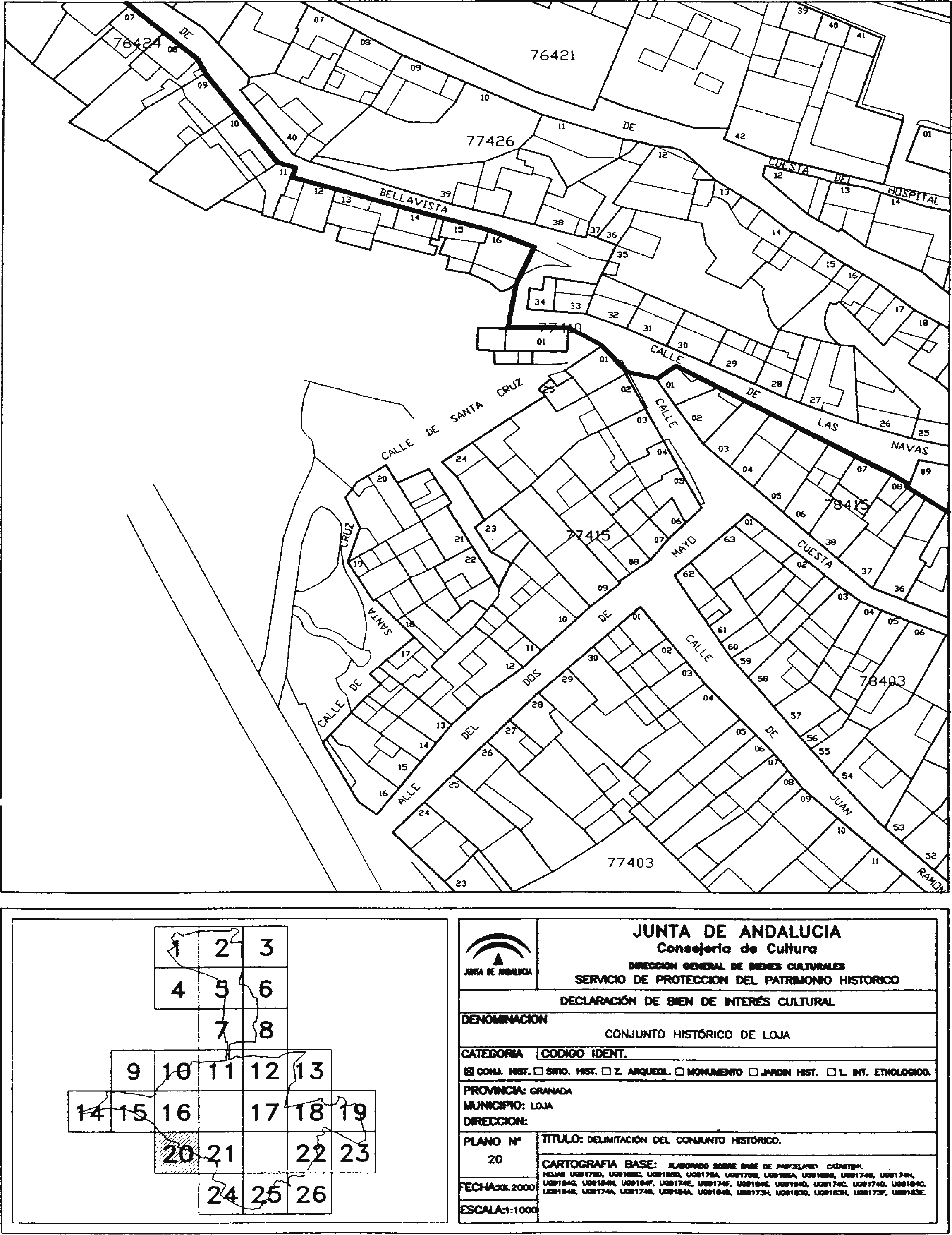
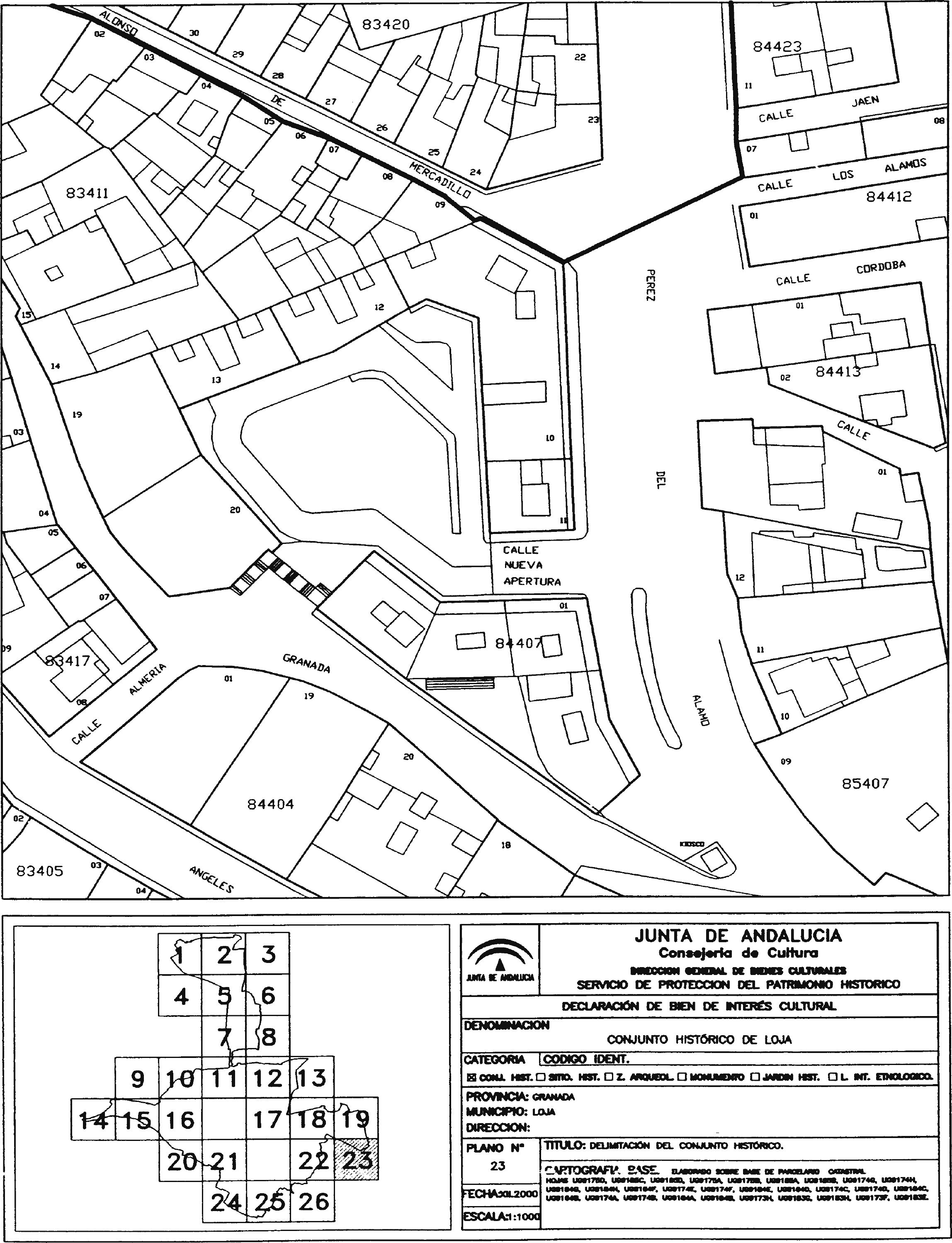
II. Descripción literal de la delimitación

La zona afectada por la delimitación como bien de interés cultural del conjunto histórico de Loja, comprende las parcelas, inmuebles, elementos y espacios públicos y privados, incluidos dentro de la línea trazada sobre la planimetría que toma como base el catastral del consorcio para la gestión e inspección de las contribuciones territoriales.

Comienza la delimitación del conjunto histórico de Loja en el extremo noroeste de la calle Vista Alegre, incluyéndola hasta su encuentro con calle Cruces. Sigue, en el sentido de las agujas del reloj y conteniendo a esta última calle, hasta su encuentro con la avenida de San Francisco. Baja por la alineación par de la misma hasta encontrarse con la calle de Solares. Continúa por la alineación impar de calle Solares y vuelve hacia el sur en su encuentro con la avenida de la Estación que rodea por el este a la manzana catastral 79-49-0. Por la alineación oriental de la citada avenida de la Estación llega hasta la esquina suroeste de la manzana catastral 79-49-5, y discurre por la alineación suroeste de la misma continuando incluyendo el viario que limita al oeste la plaza existente al inicio de la avenida de la Estación. Sale al encuentro del límite oriental del paseo de Narváez, siguiendo la alineación de la manzana catastral 81-47-8, en contacto con el mismo, continuando hacia el sur por la alineación oeste de la manzana catastral 81-46-0, hasta llegar al límite del suelo urbano al sur del actual Mercado de Mayoristas según las determinaciones del planeamiento municipal vigente. Continúa en dirección este-oeste hasta el encuentro con el lado del puente sobre el río Genil, cruzando por el mismo hasta llegar a la esquina noroeste de la parcela 01 de la manzana 81-45-0, de la que parte siguiendo las traseras de las parcelas en contacto con la ribera sur del río Genil hasta encontrar la linde, en la dirección norte-suroeste, de la fábrica de aceites existente en la avenida de Rafael Pérez del Álamo, sin incluir este inmueble. Cruza dicha avenida y continúa por la alineación este del callejón de los Naranjos, al que contiene, hasta su encuentro con la calle Espinosa. De allí sigue, por la alineación par de esta última calle hasta la cota superior de las escaleras de la calle Cerrillo de los Frailes, y continúa por las traseras de las parcelas números 22, 21, 12 y la correspondiente al antiguo cine Coliseo en la manzana catastral 83-43-3. Siguen en dirección perpendicular a la avenida Rafael Pérez del Álamo, incluyendo las tres parcelas sin numerar de la manzana catastral citada con anterioridad, que dan frente dos de ellas al arranque de cota inferior de la cuesta de las Monjas y la tercera es colindante con la que hace esquina de las dos anteriores. Sigue la delimitación incluyendo a la avenida de Rafael Pérez del Álamo, siguiendo las alineaciones que dan frente a la misma de las parcelas 17, 15, 14, 13, 12 y 11 de la manzana catastral 84-42-3, sin incluir a las mismas, y cruza hasta encontrar la alineación par de la calle Alonso de Mercadillo, por la que sube, incluyéndola, hasta el encuentro con la cuesta de las Monjas. Continúa desde allí hasta el arranque de la calle Juan XXIII, incluyendo previamente los espacios libres de uso público existentes en el inicio de la calle Granada y la avenida de los Ángeles. Sube por la alineación impar de la calle Juan XXIII hasta su encuentro con la calle del Moral, de la que incluye su primer tramo recto, buscando las lindes traseras de las parcelas 01 y 14 de la manzana catastral 82-41-3, saliendo a la cuesta de San Miguel, incluyéndola a la misma desde la alineación de la parcela 05 de la manzana catastral 82-42-0, que queda fuera de la delimitación, y siguiendo por dicha alineación hasta encontrar las lindes traseras de las parcelas 01, 36, 35 y 34 de la manzana catastral 82-40-0, a las que sí incluye. Sigue por la alineación impar de la calle de Tena Artigas, cruzándola hasta encontrar las traseras de las parcelas números 04, 03, 02 y 01 de la manzana catastral 82-39-8, siguiendo tras cruzar la calle Honda, por las traseras de las parcelas 06, 26, 05, 04, 23, 22 y 21 de la manzana catastral 81-40-5 incluyéndolas, para cruzar la calle Quintero y continuar por las traseras de las parcelas que, dando frente a la calle de San Isidro, pertenecen a la manzana catastral 81-39-0. Atraviesa la calle de Megías y continúa por las traseras de las parcelas que dan frente a la calle de San Isidro y pertenecen a la manzana catastral 80-39-4. Desde la parcela 53 de la manzana catastral 80-39-4, que queda incluida, cruza la calle y sigue la alineación par de la de Pilar Calvo hasta su encuentro con la calle Tamayo, que incluye siguiendo su alineación par. Continúa incluyendo la parcela 29 de la manzana catastral 78-40-3 y sale al encuentro de la cuesta de Chamorras siguiendo la linde suroeste-norte de la parcela 19 de la misma manzana. Atraviesa la cuesta de Chamorras y continúa por las traseras de las parcelas que perteneciendo a la manzana catastral 78-41-5, dan frente a la calle de Torrepanes y a la de Pablo Picasso. Prosigue la delimitación incluyendo a las parcelas números 13, 12, 11, 10 y 09 de esta última manzana, hasta seguir desde la esquina suroeste de la parcela 09 de la manzana catastral 78-41-5 por la alineación impar de la calle de las Navas de Tolosa hasta su encuentro con el límite norte de la cuesta de Chamorras. Baja por las escaleras que unen el anterior punto con la calle Bellavista, incluyéndolas, y continúa por la alineación más meridional de esta última calle hasta su encuentro con la de Antequera, por cuya alineación impar continúa hasta llegar al inicio de la calle Real en su encuentro con la de Conde de Tendillas. Sigue por la alineación par de esta última hasta llegar a la plaza de la Alfaguara, incluyendo a ésta y a la parcela 03 de la manzana catastral 76-43-1. Continúa por la alineación par del callejón de Don Gregorio hasta encontrar las traseras de las parcelas 06, 05, 04, 03 y 02 de la manzana catastral 77-44-2, y partir desde la esquina más al norte de la parcela 01 de la misma manzana, cruzando la calle Parras por las traseras de todas las parcelas que constituyen la manzana catastral 78-45-6, incluyéndolas. Continúa la delimitación por el límite que presenta el suelo urbano por el límite norte del callejón de Don Gregorio en contacto con las riberas del Genil según lo dispuesto en la actual normativa urbanística municipal vigente, hasta encontrar y continuar por el lado oeste del puente sobre el río Genil. Una vez atravesado el mismo, se sigue por la alineación más al oeste del paseo de Narváez que coincide con el límite del suelo urbano según las actuales Normas Subsidiarias de Planeamiento Municipal. Sigue la línea por la alineación impar del inicio de la avenida de San Francisco hasta su encuentro con la calle de Cervantes, siguiendo por la alineación meridional de ésta y por la meridional de la calle Tajo, que cruza subiendo en dirección norte al encuentro del punto de arranque, incluyendo las parcelas correspondientes a las manzanas catastrales 79-49-1 y 77-50-5.

Imagen: /datos/imagenes/disp/2001/81/06691_12054307_image1.png

Imagen: /datos/imagenes/disp/2001/81/06691_12054307_image2.png

Imagen: /datos/imagenes/disp/2001/81/06691_12054307_image3.png

Imagen: /datos/imagenes/disp/2001/81/06691_12054307_image4.png

Imagen: /datos/imagenes/disp/2001/81/06691_12054307_image5.png

Imagen: /datos/imagenes/disp/2001/81/06691_12054307_image6.png

Imagen: /datos/imagenes/disp/2001/81/06691_12054307_image7.png

Imagen: /datos/imagenes/disp/2001/81/06691_12054307_image8.png

Imagen: /datos/imagenes/disp/2001/81/06691_12054307_image9.png

Imagen: /datos/imagenes/disp/2001/81/06691_12054307_image10.png

Imagen: /datos/imagenes/disp/2001/81/06691_12054307_image11.png

Imagen: /datos/imagenes/disp/2001/81/06691_12054307_image12.png

Imagen: /datos/imagenes/disp/2001/81/06691_12054307_image13.png

Imagen: /datos/imagenes/disp/2001/81/06691_12054307_image14.png

Imagen: /datos/imagenes/disp/2001/81/06691_12054307_image15.png

Imagen: /datos/imagenes/disp/2001/81/06691_12054307_image16.png

Imagen: /datos/imagenes/disp/2001/81/06691_12054307_image17.png

Imagen: /datos/imagenes/disp/2001/81/06691_12054307_image18.png

Imagen: /datos/imagenes/disp/2001/81/06691_12054307_image19.png

Imagen: /datos/imagenes/disp/2001/81/06691_12054307_image20.png

Imagen: /datos/imagenes/disp/2001/81/06691_12054307_image21.png

Imagen: /datos/imagenes/disp/2001/81/06691_12054307_image22.png

Imagen: /datos/imagenes/disp/2001/81/06691_12054307_image23.png

Imagen: /datos/imagenes/disp/2001/81/06691_12054307_image24.png

Imagen: /datos/imagenes/disp/2001/81/06691_12054307_image25.png

Imagen: /datos/imagenes/disp/2001/81/06691_12054307_image26.png

Imagen: /datos/imagenes/disp/2001/81/06691_12054307_image27.png

subir

Axencia Estatal Boletín Oficial do Estado

Avda. de Manoteras, 54 - 28050 Madrid