Contingut no disponible en valencià

Us trobeu en

Documento BOE-A-1998-23075

Resolución de 22 de mayo de 1998, de la Dirección General de Bienes Culturales, de la Consejería de Cultura, por la que se incoa expediente de declaración de monumento como bien de interés cultural, a favor de la Iglesia de San Mateo, de Jerez de la Frontera (Cádiz).

Publicado en:
«BOE» núm. 237, de 3 de octubre de 1998, páginas 33129 a 33131 (3 págs.)
Sección:
III. Otras disposiciones
Departamento:
Comunidad Autónoma de Andalucía
Referencia:
BOE-A-1998-23075

TEXTO ORIGINAL

La Iglesia de San Mateo de Jerez de la Frontera ofrece unos valores históricos y artísticos que la hacen pieza sobresaliente para el estudio de la arquitectura y el urbanismo de la localidad.

Fue una de las seis parroquias establecidas en Jerez de la Frontera tras la Reconquista (1264), ofreciendo su construcción algún elemento de caracteres románicos, aunque básicamente es un edificio gótico, levantado en la transición de los siglos XIV-XV, con incorporaciones renacentistas y barrocas.

Como iglesia parroquial conformó a su alrededor un barrio, situado en el extremo occidental del casco histórico, siendo, con respecto a la trama urbana, el elemento más importante en la articulación de espacios urbanos residenciales con otros industriales representados por las bodegas.

Vista la propuesta formulada por el Servicio de Protección del Patrimonio Histórico, y según lo prevenido en el artículo 11.2 del Real Decreto 111/1986, en relación a los artículos 6.a), de la Ley 16/1985, del Patrimonio Histórico Español, y 5.3 del Decreto 4/1993, por el que se aprueba el Reglamento de Organización Administrativa del Patrimonio Histórico de Andalucía,

Esta Dirección General resuelve:

1.º Tener por incoado expediente de declaración como bien de interés cultural, categoría monumento, a favor de la Iglesia de San Mateo, en Jerez de la Frontera (Cádiz), cuya descripción figura en el anexo a la presente disposición. En base al mantenimiento de un entorno homogéneo se ha delimitado la zona afectada por esta incoación, cuyos límites figuran, asimismo, en el anexo de la presente disposición. Del mismo quedan afectados, según el artículo 11.2 de la Ley 16/1985 y el artículo 12.1 del Real Decreto 111/1986, los bienes muebles que se describen en el anexo.

2.º Continuar con la tramitación del expediente, de acuerdo con las disposiciones en vigor.

3.º Hacer saber al Ayuntamiento de Jerez de la Frontera (Cádiz) que, según lo dispuesto en el artículo 16 de la Ley 16/1985, de 25 de junio, debe procederse a la suspensión de las correspondientes licencias municipales de parcelación, edificación y demolición en las zonas afectadas, así como de los efectos de las ya otorgadas. Las obras que por razón de fuerza mayor hubieran de realizarse en tales zonas con carácter inaplazable deberán contar, en todo caso, con la autorización previa de esta Dirección General.

4.º Que el presente acuerdo se publique en el «Boletín Oficial de la Junta de Andalucía» y en el «Boletín Oficial del Estado».

Lo que se hace público a los efectos oportunos.

Sevilla, 22 de mayo de 1998.–El Director general, Marcelino Sánchez Ruiz.

ANEXO

Descripción:

La Iglesia de San Mateo de Jerez de la Frontera, edificio en el que la sillería de piedra es el material definitorio, presenta una sola nave con tres tramos, más otro que actúa a modo de crucero, aunque no sobresale respecto al ancho de la nave, y el del presbiterio. A la nave abren diversas capillas laterales.

A ambos lados de la cabecera, que es plana, se adosan dos torres, una rematada por chapitel piramidal y la otra mocha. Una espadaña de dos cuerpos que alberga tres campanas se levanta en el lado de la epístola.

Respondiendo a dos momentos constructivos, en los tres tramos finales de los pies, las bóvedas son de crucería con terceletes y se elevan a menor altura que la que se alcanza en los otros dos tramos, donde las bóvedas son estrelladas con nervaduras ricamente decoradas en sus claves.

Las capillas laterales ofrecen variedad de abovedamientos. Pueden destacarse la interesante bóveda de medio cañón con decoración de óvalos resaltados, de tipología renacentista, de la Capilla del Cristo de las Penas, o la cúpula de doce paños sobre trompas que cubre la Capilla de la Virgen de la Cabeza.

Sobresalientes son, asimismo, las portadas interiores de acceso a las capillas, varias de las cuales se resuelven con arcos ojivales en cuyas claves aparecen los escudos nobiliarios de las familias fundadoras. La Capilla del Cristo de las Penas ofrece hacia la nave una portada en arco de medio punto, flanqueado por pilastras dóricas que apoyan sobre pedestales ornamentados con leones rampantes en el exterior y grifos en su interior. En las enjutas y en el friso se desarrollan motivos figurativos y florales al modo renacentista. La reja que cierra esta capilla, también con motivos decorativos renacentistas, data de 1594 según consta en la cartela central del friso.

Dignos de resaltar son los distintos ventanales, algunos cegados, de estilo gótico y ricas tracerías. Asimismo, lo son una serie de lápidas sepulcrales de los siglos XVI a XIX distribuidas por toda la iglesia y diversos retablos, rejas y bienes muebles.

Al exterior son dos las portadas: La del lado de la epístola es de tipología mudéjar, aunque se encuentra muy transformada; la de los pies, hoy cegada, es la más interesante y primitiva. De arcos apuntados, con gablete, se flanquea por dos agujas, a modo de contrafuertes, con nervios y remate de pináculos. Sobre ella corre una crestería horizontal. Tanto la composición como la decoración, la relacionan con las portadas góticas de la catedral de Sevilla.

Bienes muebles:

Título: Lápida.

Autor: Anónimo.

Materia: Mármol.

Técnica: Tallado. Pintado. Labor de Taracea.

Dimensiones: 1,30 × 0,89 metros.

Época: 1737.

Escuela: Andaluza.

Estilo: Barroco.

Localización: Capilla del Sagrario.

Título: Lápida.

Autor: Anónimo.

Materia: Mármol.

Técnica: Tallado.

Dimensiones: 0,56 × 0,56 metros.

Época: 1862.

Escuela: Andaluza.

Estilo: –.

Localización: Presbiterio.

Título: Lápida.

Autor: Anónimo.

Materia: Mármol.

Técnica: Tallado y Labrado.

Dimensiones: 1,16 × 0,83 metros.

Época: Siglo XVI.

Escuela: Andaluza.

Estilo: Renacentista.

Localización: Presbiterio.

Título: Lápida.

Autor: Anónimo.

Materia: Piedra.

Técnica: Tallado.

Dimensiones: 1,10 × 1,10 metros.

Época: 1636.

Escuela: Andaluza.

Estilo: Barroco.

Localización: Presbiterio.

Título: Lápida.

Autor: Anónimo.

Materia: Piedra.

Técnica: Tallado.

Dimensiones: 0,83 × 0,83 metros.

Época: 1706.

Escuela: Andaluza.

Estilo: Barroco.

Localización: Presbiterio.

Título: Lápida.

Autor: Anónimo.

Materia: Mármol jaspeado.

Técnica: Tallado.

Dimensiones: 0,72 × 0,85 metros.

Época: Siglo XVIII.

Escuela: Andaluza.

Estilo: Barroco.

Localización: Presbiterio.

Título: Lápida.

Autor: Anónimo.

Materia: Piedra.

Técnica: Tallado.

Dimensiones: 0,99 × 1,05 metros.

Época: Siglo XVII.

Escuela: Andaluza.

Estilo: Barroco.

Localización: Nave de la Iglesia.

Título: Lápida.

Autor: Anónimo.

Materia: Mármol.

Técnica: Tallado.

Dimensiones: 1,71 × 0,84 metros.

Época: 1704.

Escuela: Andaluza.

Estilo: Barroco.

Localización: Nave de la Iglesia.

Título: Lápida.

Autor: Anónimo.

Materia: Mármol.

Técnica: Tallado.

Dimensiones: 1,82 × 0,85 metros.

Época: Hacia 1749.

Escuela: Andaluza.

Estilo: Barroco.

Localización: Nave de la Iglesia.

Título: Lápida.

Autor: Anónimo.

Materia: Mármol.

Técnica: Tallado.

Dimensiones: 1,58 × 0,80 metros.

Época: Hacia 1703.

Escuela: Andaluza.

Estilo: Barroco.

Localización: Nave de la Iglesia.

Esta relación podrá ampliarse durante la tramitación del expediente, según lo prevenido en el artículo 12.1 del Real Decreto 111/1986, de 10 de enero, por el que se desarrolla parcialmente la Ley 16/1985, del Patrimonio Histórico Español.

Entorno afectado:

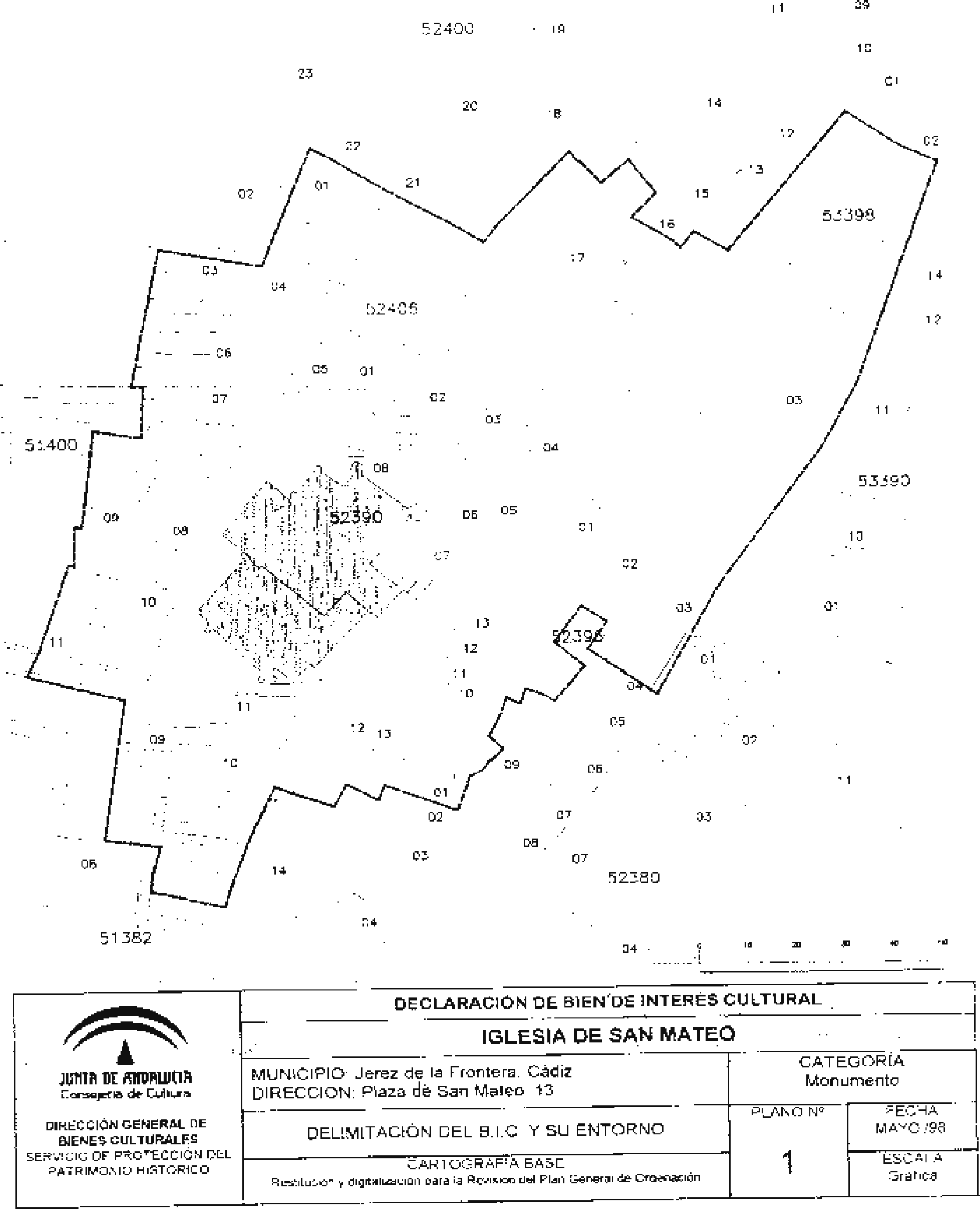
El entorno afectado por la incoación del expediente de declaración como bien de interés cultural, categoría monumento, de la Iglesia de San Mateo de Jerez de la Frontera, comprende las parcelas, inmuebles, elementos y espacios públicos y privados comprendidos dentro de la línea de delimitación que figura en el plano de «Delimitación del bien de interés cultura y su entorno», y cuya relación se establece a continuación:

Manzana 52390: Parcelas: 01, 02, 03, 04, 05, 06, 08.

Manzana 52395: Parcelas 03, 02, 01, 13, 12, 11, 10.

Manzana 51382: Parcelas 01, 13, 12, 11, 10, 09.

Manzana 51400: Parcelas 11, 10, 09, 08, 07, 06, 04, 05.

Manzana 52406: Parcelas 01.

Manzana 52400: Parcela 17.

Manzana 53398: Parcela 03.

Imagen: /datos/imagenes/disp/1998/237/23075_15236550_image1.png

subir

Agència Estatal Butlletí Oficial de l'Estat

Avda. de Manoteras, 54 - 28050 Madrid